
3.41 Acres Lot
3.41 Acres Lot
Key Details
Property Type Vacant Land
Sub Type Unimproved Land
Listing Status Active
Purchase Type For Sale
Subdivision Stewart J
MLS Listing ID 20880521
HOA Y/N None
Annual Tax Amount $912
Lot Size 3.410 Acres
Acres 3.41
Property Sub-Type Unimproved Land
Property Description
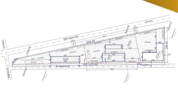
The engineered site plan includes a 4,000 sq ft building, five MPDs with ten fueling positions, completed grading and drainage, and a feasibility study already performed. The creek along the boundary falls outside the buildable footprint, ensuring a straightforward development path.
Located just one mile from I-35, the property delivers over 1,200 feet of dual frontage on N Houston St and Old Lorena Road. Traffic counts at the intersection total 5,078 VPD, with frontage and turn traffic split nearly evenly. These volumes support regional C-store brands and continue to grow as residential development expands across Lorena and southern McLennan County.
With a listing price of $265,000 ($77,712 per acre), this site offers an exceptional land basis relative to projected post development values of $450,000–$600,000. Year one financial projections show strong potential, including an estimated $1.37M in C-store sales, 713k gallons of fuel volume, and a $176,016 net profit.
If you're looking for a shovel-ready commercial pad with approvals in hand, utilities in place, and high-growth demand drivers, this Lorena site stands out as one of the strongest development opportunities in the area.
Location
State TX
County Mclennan
Zoning Commercial
Direction From Brookshires in Lorena, merge onto N Lorena Rd... go 1.5 miles and property is on the left... Ideal Self Storage will be behind the property.
Exterior
Utilities Available Asphalt, City Sewer, City Water, Electricity Available
Garage No
Building
Lot Description Acreage
Schools
Elementary Schools Lorena
Middle Schools Lorena
High Schools Lorena
School District Lorena Isd
Others
Restrictions Development
Special Listing Condition Aerial Photo
Virtual Tour https://www.propertypanorama.com/instaview/ntreis/20880521








